780-832-5880

127 Strathcona Circle
Strathmore (A2278689)

$2,100,000
Loading Listing...

Loan Term
Interest Rate
Loan Amount
Annual Tax
Ann. Insurance

* Amounts are estimates only. Final payment amounts may vary.

Description

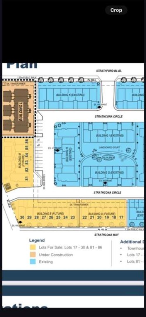
Fully Serviced, 20 Townhouse lots in the middle of already developed residental neighborhood ( yellow shade in the picture),Seller will provide all the floor palns/drawings and permits. Building E (8 Units) Each unit is 1769 Sq. feet,Garage 250 Sq. feet,Total building 14,152 Sq. feet, Lot 115-101 Strathcona Circle, Building D (6 units) 127-117 Strathcona Circle,Each unit is 1769 Sq. feet,Garage 250 Sq. feet,Total building area is 10,776 Sq. feet, Building M (6 Units) 102-413 Strathcona Circle, each unit is 1670 Sq. feet ,Double garage area 432 Sq. feet,413-421 Strathcona Circle,each unit is 1272 Sq. feet ,garage area 273 Sq.feet and Total building area is 8,035 Sq. feet.

Property details

Basic Info

MLS® #
A2278689
Property Type:
Land
Subtype:
Residential Land
Subdivision:
Brentwood_Strathmore
Price
$2,100,000
Sale/Lease:
For Sale

Building Info

Garage:
No
Basement:
No
Inclusions:
none

Condo/Association Info

Condo Amenities:
Playground, Recreation Facilities, Visitor Parking
Condo Fee Includes:
Common Area Maintenance

Lot / Land Info

Lot Size:
0.58 acres
Zoning:
R3

Listing Info

Possession:
15 Days / Neg
Days on Market:
1
Your Realtor
  • Cord Spero

    RE/MAX Grande Prairie
    780-832-5880

    Email

    Ask a question
    Share This Listing
    Related Properties