780-832-5880

LOT 6 300 INDUSTRIAL Road
Drumheller (A2271786)

$70,140
Loading Listing...

Loan Term
Interest Rate
Loan Amount
Annual Tax
Ann. Insurance

* Amounts are estimates only. Final payment amounts may vary.

Description

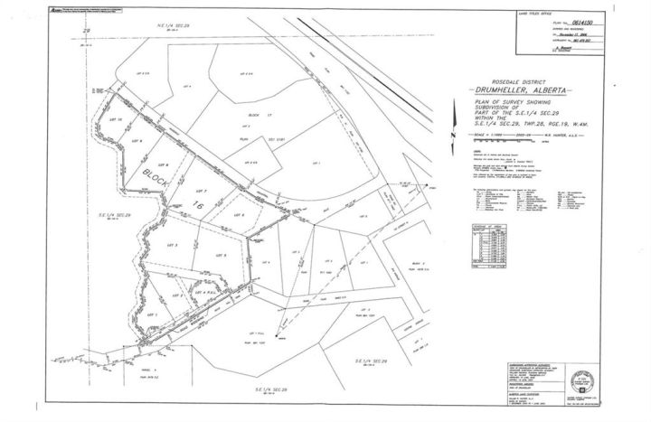
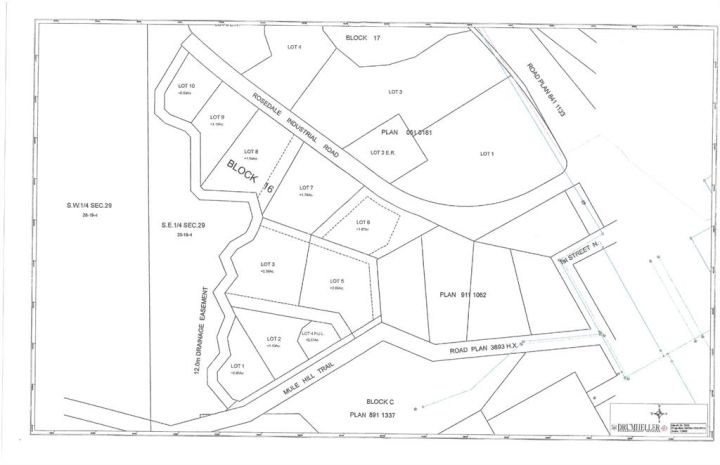
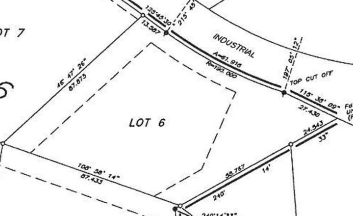
The Rosedale Industrial Park Subdivision has already seen development. Excellent location approximately 10 km from the intersection of Highway 9 & 10 and approximately 6 km from Drumheller city center. If you combine this lot with others that total over 2 acres, you may be eligible for a 10% discount. Services to the property line: Water, electricity, and natural gas. Direct connection to sanitary sewer from the property line is available. Ask your agent about tax incentives. ***Residential uses not allowed on this land*** FOR SALE - LOT 6 = 1.67 Acres LEGAL DESCRIPTION: Lot 6 Block 16 Plan 0614150. Roll: 19060604 | 2025 taxes: $1,424.55 | Lot size: 1.670 Acres | Land Use / Zoning: ED | Title number: 061 478 257 +4 LINC Number: 0032 045 891 | non financial encumbrances: 811 117 857 23/06/1981 UTILITY RIGHT OF WAY GRANTEE - ICG UTILITIES (PLAINS-WESTERN) LTD. 941 151 458 09/06/1994 CAVEAT RE : RIGHT OF WAY AGREEMENT 061 478 259 17/11/2006 EASEMENT. Buyer must fill out a development permit application sheet as part of the offer outlining what they will build, who their contractor is, and outline the timeline that starts substantial construction within 8 months and completes construction with 24 months. Offers must be left open for 3 weeks from the date submitted.

Property details

Basic Info

MLS® #
A2271786
Property Type:
Land
Subtype:
Commercial Land
Subdivision:
Downtown
Price
$70,140
Sale/Lease:
For Sale

Building Info

Garage:
No
Basement:
No
Inclusions:
None

Lot / Land Info

Lot Size:
1.67 acres
Lot Features:
Irregular Lot, See Remarks
Water:
See Remarks
Zoning:
ED

Listing Info

Possession:
Negotiable
Your Realtor
  • Cord Spero

    RE/MAX Grande Prairie
    780-832-5880

    Email

    Ask a question
    Share This Listing
    Related Properties